Löggiltir fasteignasalar innan Félags fasteignasala:
Sigurður Maack Gunnarsson
Svanþór Einarsson
Theodór Emil Karlsson
Steingrímur Benediktsson
Vista
raðhús

Spóahöfði 2

270 Mosfellsbær

144.900.000 kr.

806.793 þ.kr./m2
Fasteignanúmer

F2240926

Fasteignamat

130.900.000 kr.

Brunabótamat

83.850.000 kr.

Áhvílandi

0 kr.

Arion banki – Reikna lán
Upplýsingar
Verðsaga
svg
Byggt 1999
svg
179,6 m²
svg
6 herb.
svg
1 baðherb.
svg
4 svefnh.
svg
Bílskúr
svg
Sérinngangur

Lýsing

** Hafðu samband og bókaðu tíma fyrir skoðun - Svanþór Einarsson, löggiltur fasteignasali - svanthor@fastmos.is eða 698-8555 - Theodór Emil Karlsson, löggiltur fasteignasali - teddi@fastmos.is eða 690-8040 - Steingrímur Benediktsson, löggiltur fasteignasali - steingrimur@fastmos.is eða 862-9416 ** 

Fasteignasala Mosfellsbæjar kynnir: Fallegt og vel skipulagt 179,6 m2 endaraðhús með innbyggðum bílskúr Spóahöfða 2 í Mosfellsbæ. Eignin skiptist í eldhús, stofu/borðstofu, gang, 4-5 svefnherbergi, rúmgott risloft/sjónvarpstofu, baðherbergi, forstofu, þvottahús og bílskúr með geymslulofti. Eignin er skráð 179,6 m2, þar af raðhús 150,0 m2 (þar af milliloft 19,1 m2) og bílskúr 29,6 m2. Milliloftið er mun stærra en skráðir fermetrar þar sem það er að hluta undir súð og auk þess búið að gera herbergi inn af því. Í bakgarði er garðskáli og timburverönd í suðausturátt með heitum potti, úti sturtu. Einnig er þar góð geymsla og lítið gróðurhús. Fyrir framan hús er önnur timburverönd og hellulagt bílaplan með snjóbræðslu og hleðslustöð sem fylgir. Vinsæl staðsetning, stutt í golfvöll,  Lágafellskóla, leikskólann Hulduberg og Lágafellslaug. Eignin getur verið laus fljótlega til afhendingar.

Samkvæmt upplýsingum frá seljanda hefur verið farið í framkvæmdir og endurbætur á eigninni á síðustu árum: 
Árið 2019-2020 var útbúin garðstofa, timburverönd með heitum potti og útisturta
Árið 2022 var settur hiti í gólf í eldhús, nýjar flísar og ný eldhús innrétting frá Brúnás. Nýjar vatnslagnir í eldhús, auk beintenging í heita pottinn. Ný neysluvatnsgrind í bílskúr. Nýtt parket á allt húsið.
Árið 2024 var smíðuð skjólgirðing, útbúin köld geymsla í garði og litið gróðurhús.
Árið 2026 verið er að skipta út spýtu í þakkanti og skipta um 2 opnarlega glugga.

Smelltu hér til að fá söluyfirlit sent strax.

Nánari lýsing:
Forstofa er rúmgóð með flísum á gólfi og gólfhita. Úr forstofu er innangengt í bílskúrinn.
Gangur er inn af forstofu með parketi á gólfi. Af gangi er stigi upp í risloft og herbergi.
Stofa og borðstofa er í opnu björtu rými og með parketi á gólfi. Mikil lofthæð er í rýminu sem gerir það bjart og skemmtilegt. Úr stofu er gengið út á timburverönd í suðvesturátt.
Eldhús er með fallegri innréttingu og eyju frá Brúnás. Gott skápapláss. Í eyjunni er helluborð, í innréttingunni er blástursofn og innbyggður ísskápur. Úr eldhúsi er gengið inn í garðskála
Svefnherbergi nr. 1 (hjónaherbergi) er með parketi á gólfi og fataherbergi
Svefnherbergi nr. 2 og 3 er með fataskápum og parketi á gólfi. Skv. teikningu er gert ráð fyrir tveimur herbergjum en búið er að opna á milli. Auðvelt er að breyta til baka.
Svefnherbergi nr. 4 er með parketi á gólfi.
Baðherbergi er flísalagt og með vegghengdu salerni, handklæðaofni, innréttingu með vaski baðkari og sturtu. 
Þvottahús er með flísum á gólfi. Tengi er fyrir þvottavél og þurrkara
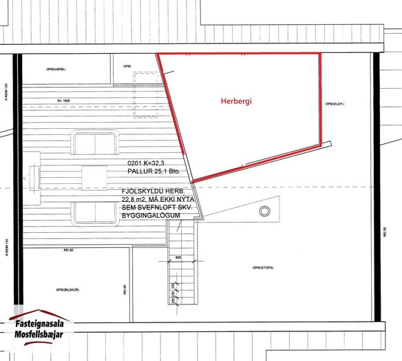
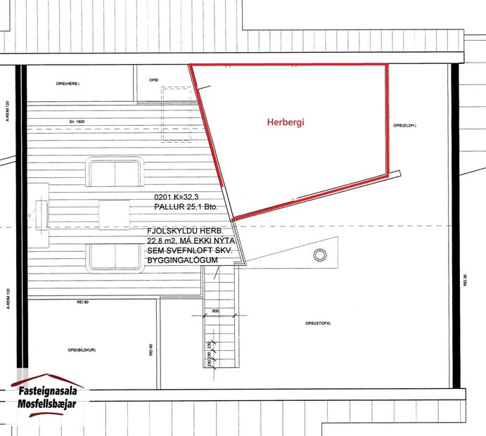
Risloft og svefnherbergi nr 5. eru með parketi á gólfi. Í svefnherbergi er þakgluggi.
Bílskúrinn er með steyptu gólfi og góðu geymslulofti. Innangengt er úr forstofu inn í bílskúrinn.

Verð. kr. 144.900.000,-



Um skoðunar- og aðgæsluskyldu:
Í lögum um fasteignakaup nr. 40/2002 er kveðið á um ríka skoðunarskyldu kaupenda á fasteignum. Fasteignasala Mosfellsbæjar skorar því á væntanlega kaupendur að kynna sér vel ástand fasteigna fyrir kauptilboðsgerð og leita til þar til bærra sérfræðinga um nánari skoðun ef með þarf.

Forsendur söluyfirlits:
Söluyfirlit er samið af fasteignasala í samræmi við ákvæði laga nr. 70/2015. Þær upplýsingar sem fram koma í söluyfirliti þessu eru sóttar í opinberar skrár, til seljanda sjálfs og eftir atvikum til húsfélags. Seljandi veitir upplýsingar um eign í samræmi við upplýsingaskyldu laga um fasteignakaup nr. 40/2002. Fasteignasali sannreynir að þær upplýsingar séu réttar með sjónskoðun á eigninni.
Fasteignasali getur ekki fullyrt um ástand og eiginleika þeirra hluta fasteigna sem ekki eru aðgengilegir og sjást ekki berum augum, t.d. lagnir, dren, skólp og þak.

Gjöld sem kaupandi þarf að greiða vegna kaupa:
1. Stimpilgjald af kaupsamningi sem er hlutfall af fasteignamati. Stimpilgjald er 0,8% fyrir einstaklinga (0,4% við fyrstu kaup) og 1,6% fyrir lögaðila.
2. Þinglýsingargjald af kaupsamningi, veðskuldabréfum, veðleyfum o.fl. Þinglýsingargjald er kr. 3.800,- fyrir hvert skjal.
3. Lántökugjald lánastofnunar - er skv. gjaldskrá viðkomandi lánastofnunar.
4. Umsýslugjald til fasteignasölu skv. kauptilboði.
5. Þegar um nýbyggingu er að ræða greiðir kaupandi skipulagsgjald, 0,3% af endanlegu brunabótamáti, þegar það er lagt á af viðkomandi sveitarfélagi.

img
Svanþór Einarsson
Lögg.fasteignasali innan félags fasteignasala
Fasteignasala Mosfellsbæjar
Þverholti 2, 270 Mosfellsbæ
Fasteignasala Mosfellsbæjar

Fasteignasala Mosfellsbæjar

Þverholti 2, 270 Mosfellsbæ
phone
img

Svanþór Einarsson

Þverholti 2, 270 Mosfellsbæ
Ár
Fasteignamat
Kaupverð
Stærð
Fermetraverð
9. ágú. 2007
32.680.000 kr.
41.000.000 kr.
179.6 m²
228.285 kr.
Byggt á upplýsingum úr Þjóðskrá Íslands frá 2006-2026
Fasteignasala Mosfellsbæjar

Fasteignasala Mosfellsbæjar

Þverholti 2, 270 Mosfellsbæ
phone

Svanþór Einarsson

Þverholti 2, 270 Mosfellsbæ