Upplýsingar
Verðsaga
Byggt 2018
142 m²
1 herb.
Sérinngangur
Lýsing
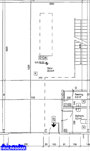
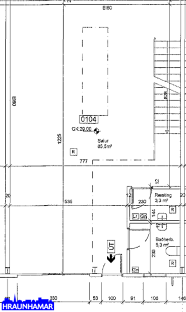
Hraunhamar fasteignasala kynnir: TIL SÖLU EÐA LEIGU ! Afar gott og snyrtilegt atvinnuhúsnæði 99,6 fm að grunnfleti auk 42,4 fm samþykkt milliloft samtals stærð þjóðskrá því 142,0 fm Að auki er búið að stækka milliloftið um ca 30 fm (ósamþykkt) og nýtist það mjög vel líka. Mikil lofthæð á báðum hæðum. Háar innk.dyr ca 4,2 metrar og ca 3,5 metrar á breidd. Góð aðkoma og rúmgóð lóð fyrir framan, að auki fylgja tvö stæði á lóðinni t.d. undir gáma ofl. (gengt bilinu) Laust strax og til sýnis.
Eignin skiptist m.a. þannig: Lagersalur með góðri lofthæð og innk.dyrum, gönguhurð líka, rúmgott baðherbergi með sturtuaðstöðu, gluggi. Eldhúsinnrétting/kaffiaðstaða er líka er á neðri hæðinni.
Á efri hæðinni er rúmgóð kaffistofa/eldhús með harðparketi á gólfum, gluggi.
Þetta er góð og snyrtileg eign með góðri aðkomu, auka pláss á lóðinni fylgir.
Eign sem vert er að skoða
Kaupandi yfirtekur vsk kvöð enda er gert ráðfyrir að hann sé með vsk skylda starfsemi.
Nánari uppl. gefur Helgi Jón Harðarson sölustjóri s. 893-2233 helgi@hraunhamar.is
Glódís Helgadóttir lgf. s. 659-0510 glodis@hraunhamar.is
Skoðunarskylda:
Í lögum um fasteignakaup nr. 40/2002 er kveðið á um ríka skoðunarskyldu kaupenda á fasteignum. Hraunhamar fasteignasala vill benda væntanlegum kaupendum á að kynna sér vel ástand fasteigna fyrir kauptilboðsgerð og ef þurfa þykir að leita til sérfræðinga fyrir nánari ástandsskoðun.
Gjöld sem kaupandi þarf að standa straum af vegna kaupanna:
1. Stimpilgjald af kaupsamningi, fyrstu kaup (0,4%), almenn kaup (0,8%), lögaðilar (1,6%) af heildarfasteignamati.
2. Þinglýsingargjald af kaupsamningi, veðskuldabréfi, mögulegu veðleyfi o.fl. – 3.800 kr. af hverju skjali.
3. Lántökugjald lánastofnunar er skv. verðskrá viðkomandi lánastofnunar.
4. Umsýslugjald til fasteignasölu skv. þjónustusamningi
Hraunhamar er elsta fasteignasala Hafnarfjarðar, stofnuð 1983.
Hraunhamar, í fararbroddi í rúm 40 ár. – Hraunhamar.is
Smelltu hér til að fá frítt söluverðmat.
Smelltu hér til að fá söluyfirlit sent strax.
Eignin skiptist m.a. þannig: Lagersalur með góðri lofthæð og innk.dyrum, gönguhurð líka, rúmgott baðherbergi með sturtuaðstöðu, gluggi. Eldhúsinnrétting/kaffiaðstaða er líka er á neðri hæðinni.
Á efri hæðinni er rúmgóð kaffistofa/eldhús með harðparketi á gólfum, gluggi.
Þetta er góð og snyrtileg eign með góðri aðkomu, auka pláss á lóðinni fylgir.
Eign sem vert er að skoða
Kaupandi yfirtekur vsk kvöð enda er gert ráðfyrir að hann sé með vsk skylda starfsemi.
Nánari uppl. gefur Helgi Jón Harðarson sölustjóri s. 893-2233 helgi@hraunhamar.is
Glódís Helgadóttir lgf. s. 659-0510 glodis@hraunhamar.is
Skoðunarskylda:
Í lögum um fasteignakaup nr. 40/2002 er kveðið á um ríka skoðunarskyldu kaupenda á fasteignum. Hraunhamar fasteignasala vill benda væntanlegum kaupendum á að kynna sér vel ástand fasteigna fyrir kauptilboðsgerð og ef þurfa þykir að leita til sérfræðinga fyrir nánari ástandsskoðun.
Gjöld sem kaupandi þarf að standa straum af vegna kaupanna:
1. Stimpilgjald af kaupsamningi, fyrstu kaup (0,4%), almenn kaup (0,8%), lögaðilar (1,6%) af heildarfasteignamati.
2. Þinglýsingargjald af kaupsamningi, veðskuldabréfi, mögulegu veðleyfi o.fl. – 3.800 kr. af hverju skjali.
3. Lántökugjald lánastofnunar er skv. verðskrá viðkomandi lánastofnunar.
4. Umsýslugjald til fasteignasölu skv. þjónustusamningi
Hraunhamar er elsta fasteignasala Hafnarfjarðar, stofnuð 1983.
Hraunhamar, í fararbroddi í rúm 40 ár. – Hraunhamar.is
Smelltu hér til að fá frítt söluverðmat.
Smelltu hér til að fá söluyfirlit sent strax.
Ár
Fasteignamat
Kaupverð
Stærð
Fermetraverð
15. okt. 2018
23.650.000 kr.
29.000.000 kr.
142 m²
204.225 kr.
Byggt á upplýsingum úr Þjóðskrá Íslands frá 2006-2026