Löggiltir fasteignasalar innan Félags fasteignasala:
Sigurður Samúelsson
Andri Sigurðsson
Sveinn Eyland
Ingibjörg Agnes Jónsdóttir
Guðrún Diljá Lúðvíksdóttir
Monika Hjálmtýsdóttir
Júlíus Jóhannsson
Freyja Rúnarsdóttir
Jón Óskar Karlsson
Davíð Matthíasson
Erla Friðriksdóttir
Upplýsingar
Verðsaga
svg
Byggt 1991
svg
194,1 m²
svg
5 herb.
svg
2 baðherb.
svg
3 svefnh.
svg
Þvottahús
svg
Sérinngangur
Opið hús: 20. apríl 2026 kl. 18:00 til 18:30

Opið hús: Fagrihjalli 60, 200 Kópavogur. Eignin verður sýnd mánudaginn 20. apríl 2026 milli kl. 18:00 og kl. 18:30.

Lýsing

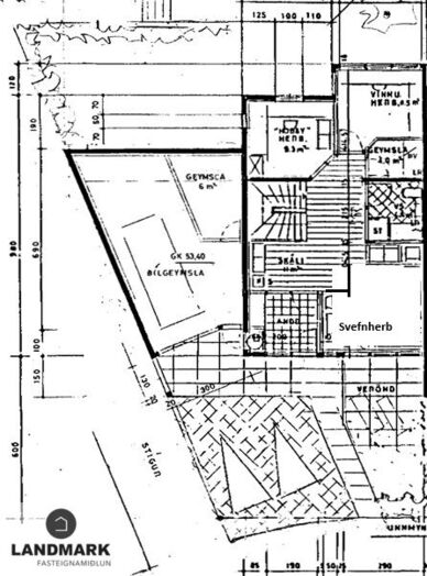
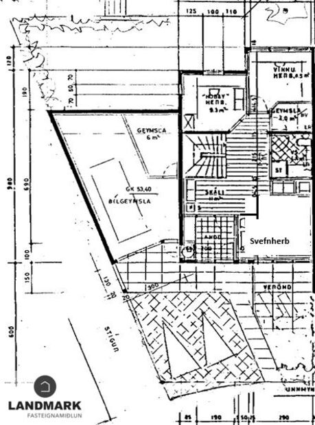
LANDMARK kynnir:  Mjög fallegt 194,1 fm, 5 -6 herbergja parhús á frábærum útsýnisstað í suðurhlíðum Kópavogs. Húsið er á tveimur hæðum með verönd með heitum potti á efri hæð þar sem eldhús og stofa eru.  3 svefnherbergi en hægt að bæta við herbergi / herbergjum skv. teikningu.  Að auki er risloft sem býður upp á ýmsa möguleika. Bæði baðherbergin tekin í gegn fyrir nokkrum árum ásamt eldhúsi og þvottahúsi.  

Neðri hæð:
Forstofa er með fallegum flísum á gólfi og miklu skápaplássi
Svefnherbergin eru þrjú á hæðinni, öll með parketi.  Góður fataskápur er í hjónaherbergi.
Baðherbergið er nýlega endurnýjað, flísalagt í hólf og gólf með hornbaðkari, handklæðaofni og fallegri innréttingu.
Þvottahús er á hæðinni með innréttingu þar sem tækið eru í góðri vinnuhæð.

Gengið upp teppalagðan stiga upp á 2. hæð.

Efri hæð:
Eldhús, stofa og borðstofa eru í opnu og björtu rými með aukinni lofthæð með fallegu útsýni til suðvesturs

Eldhúsið er með dökkbæsaðri innréttingu með eyju.  Í innréttingu eru tveir ofnar ( annar combi-ofn) helluborð og innbyggð uppþvottavél og ísskápur.
Borðstofa og setustofa eru samliggjandi og þaðan er útgengt út á verönd með góðum skjólvegg og heitum potti.  Innangengt í bakgarð af verönd, tilvalin fyrir hunda t.d.
Baðherbergið er flísalagt með fallegri innréttingu, "walk-in" sturtu og upphengdu salerni.
Önnur stofan er á hæðinni með parketi á gólfi og rúmgott vinnurými.  Þarna er möguleiki að setja upp eitt herbergi eða tvö.

Risloft - 11 fm er í húsinu, en það er hægt að innrétta á marga vegu, t.d. sjónvarpsrými, vinnuherbergi eða svefnherbergi.  Opnanlegur þakgluggi.

Bílskúrinn er rúmgóður ( 36,8 fm ) með lokaðri geymslu.  Í bílskúrnum er rafmagn, hiti, vatn og rafknúinn hurðaopnari.  Tvö bílastæði framan við hús og gestabílastæði við hús nr 58.  Hiti er undir bílaplani.

Umhverfi:
Leikvellir fyrir krakka eru í götunni og stutt er í leikskóla, grunnskóla og íþróttaaðstöðu.  Staðsetning mjög miðsvæðis á höfuðborgarsvæðinu.

Í eldri sölulýsingu segir að "þak hafi verið yfirfarið árið 2020 þar sem skipt var um þakjárn, pappa og járn í þakkanti. "  

Greiddar eru 1.000 kr á mánuði í lóðafélag Fagrahjalla 42-60

Upplýsingar veitir Sigurður Samúelsson Lgf í síma 896-2312 eða ss@landmark.is og Freyja Rúnarsdóttir Lgf í síma 694-4112 eða freyja@landmark.is
---------------------------------------------------------

Skoðunar- og aðgæsluskylda:
Lög um fasteignakaup nr. 40/2002 kveða á um að kaupendur þurfi að skoða fasteignir vel áður en tilboð er gert. LANDMARK fasteignamiðlun ráðleggur kaupendum að skoða ástand eignar og leita sér aðstoðar sérfræðinga ef þörf er á nánari skoðun.

Söluyfirlit:
Söluyfirlit er gert af fasteignasala samkvæmt lögum nr. 70/2015. Upplýsingar í yfirlitinu eru fengnar úr opinberum skrám, frá seljanda og ef þarf frá húsfélagi. Fasteignasali sannreynir upplýsingar með skoðun á eigninni en getur ekki sannreynt ástand þess sem ekki er aðgengilegt eða sýnilegt, t.d. lagnir, dren, skólp og þak.

Gjöld sem kaupandi þarf að greiða:
1. Stimpilgjald: 0,8% af fasteignamati (0,4% fyrir fyrstu kaup) og 1,6% fyrir lögaðila.
2. Þinglýsingargjald: 3.800 kr. fyrir hvert skjal.
3. Lántökugjald: Fer eftir gjaldskrá lánveitanda.
3. Þjónustugjald kaupanda: 79.000 kr. m/vsk.
3. Skipulagsgjald: Ef um nýbyggingu er að ræða, 0,3% af brunabótamáti þegar það er lagt á.

Heimasíða LANDMARK
Pantaðu frítt söluverðmat

img
Sigurður Samúelsson
Lögg.fasteignasali innan félags fasteignasala
LANDMARK fasteignamiðlun
Hlíðasmári 2, 201 Kópavogur
LANDMARK fasteignamiðlun

LANDMARK fasteignamiðlun

Hlíðasmári 2, 201 Kópavogur
phone
img

Sigurður Samúelsson

Hlíðasmári 2, 201 Kópavogur
Ár
Fasteignamat
Kaupverð
Stærð
Fermetraverð
7. jún. 2022
83.350.000 kr.
125.000.000 kr.
194.1 m²
643.998 kr.
21. maí. 2021
73.400.000 kr.
90.000.000 kr.
194.1 m²
463.679 kr.
21. sep. 2012
39.200.000 kr.
42.800.000 kr.
194.1 m²
220.505 kr.
4. jan. 2007
33.990.000 kr.
42.100.000 kr.
194.1 m²
216.899 kr.
Byggt á upplýsingum úr Þjóðskrá Íslands frá 2006-2026
LANDMARK fasteignamiðlun

LANDMARK fasteignamiðlun

Hlíðasmári 2, 201 Kópavogur
phone

Sigurður Samúelsson

Hlíðasmári 2, 201 Kópavogur