Löggiltir fasteignasalar innan Félags fasteignasala:
Knútur Bjarnason
Rúnar Þór Árnason
Gunnar Sv. Friðriksson
Hólmar Björn Sigþórsson
Linda Björk Ingvadóttir
Kristján Þór Sveinsson
María Steinunn Jóhannesdóttir
Ragnheiður Árnadóttir
Upplýsingar
Verðsaga
svg
Byggt 2006
svg
93,6 m²
svg
5 herb.
svg
1 baðherb.
svg
3 svefnh.
svg
Sérinngangur

Lýsing

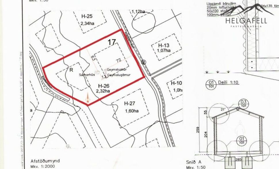
Helgafell fasteignasala og Linda Björk Ingvadóttir löggiltur fasteignasali kynna sumarbústað ásamt gestahúsi, kaldri geymslu og bílskúr með fallegu útsýni í Heklubyggð í landi Svínhaga við Heklurætur í Rangárþingi Ytra. Stór verönd með rafmagnspotti. 2.32 ha eignarlóð sem búið er að gróðursetja mikið magn af trjágróðri. Selst með innbúi. Stutt í margar náttúruperlur. 

Samkvæmt skráningu Þjóðskrár er sumarbústaðurinn 65 fm, 12,2 fm gestahús/geymslu og 16,4 fm köld geymsla. Samtals 93,6. 

Sumarbústaður skiptist í:

Forstofa með fatahengi og flísum í gólfi. 
Eldhús með fallegri innréttingum, innbyggðar tvær kæliskúffur, góðum borðkrók og parketi á gólfi. Opið milli eldhúss og stofu. 
Stofa er rúmgóð og björt með parketi á gólfi. Hátt til lofts. Útgengi á stóra verönd með rafmagnspotti. 
Tvö svefnherbergi með hjónarúmi og parketi á gólfi.
Baðherbergi með innréttingu, sturtu og opnanlegum glugga.  
Svefnloftið er rúmgott með parketi á gólfi. Sér svefnherbergi með fallegu útsýni.  Gott setusvæði fyrir framan svefnherbergið ásamt góðu geymslupláss.

Gestahús/geymsla er 12,2 fm og með parketi á gólfi. Köld geymsla er 16,4 fm. Stór og rúmgóður bílskúr.

Húsið er byggt árið 2006 og er á steyptri plötu. Inní geymslu af verönd eru inntök hússins. Varmadæla og rafmagnsofnar. Hitakútur fyrir neysluvatn. Lóðin er kjarri vaxin sem búið er að gróðursetja mikið magn af trjágróðri. Leiktæki og kofi á lóðinni. Myndavélakerfi - 4 vélar.

Fallegt útsýni og mikil náttúrufegurð. Útsýni til margra átta, sést meðal annars í Heklu, Bjólfell, Búrfell og Þríhyrning. Stutt inná hálendið. Aðeins 1,5klst frá bænum. 

Lóðin er með 2 skilgreinda byggingareiti skv. deiliskipulagi og því heimilt að byggja 2 hús á hvorum reit fyrir sig. Hámarks byggingamagn 300 fm.

Sumarhúsafélag er í Heklubyggð, sem er hagsmunafélag sumarhúsaeigenda á svæðinu.

Þegar komið er að Svínhaga að sunnanverðu er farið inn á Rangárvallaveg (nr. 264) af Suðurlandsvegi austan Hellu. Vestan Gunnarholts er síðan farið inn á Þingskálaveg (nr. 268) sem liggur að Svínahaga. 

Fyrir nánari upplýsingar hafið samband við:
Linda Björk Ingvadóttir löggiltur fasteignasali
s. 868 7048 / linda@helgafellfasteignasala.is

----------------------------------------------------------
Heimasíða Helgafells fasteignasölu
Facebook síða Helgafells

- Hafðu samband og við gerum söluverðmat á eign þinni, þér að kostnaðarlausu -

Gjöld sem kaupandi þarf að standa straum af vegna kaupa á fasteign:

1. Stimpilgjald af kaupsamningi - 0,8% af fasteignamati fyrir einstaklinga (0,4% fyrir fyrstu kaupendur) og 1,6% fyrir lögaðila.
2. Þinglýsingargjald af kaupsamningi, veðskuldabréfi, mögulegu veðleyfi o.fl. - 3.800 kr. af hverju skjali.
3. Lántökugjald lánastofnunar - almennt í kringum 50þ., oft lægra eða ekkert lántökugjald fyrir fyrstu kaup. Nánari upplýsingar á heimasíðum lánastofnana.
4. Þjónustusamningur milli kaupanda og fasteignasölu - Kr.  92.380,- m/vsk.

Helgafell fasteignasala bendir kaupendum á ríka skoðunarskyldu sem kveðið er á í lögum um fasteignakaup nr.40/2002. Skorað er á kaupendur að kynna sér vandlega ástand fasteigna og nýta til þess aðstoð sérfræðinga.  Sömuleiðis er bent á upplýsingaskyldu seljanda samanber 26.gr. Laga nr.40/2002 um fasteignakaup og 25.gr. laga nr.26/1994 um fjöleignarhús. Seljanda er bent á að kynna sér tilvitnaðar lagagreinar.

img
Linda Björk Ingvadóttir
Lögg.fasteignasali innan félags fasteignasala
Helgafell fasteignasala ehf.
Stórhöfði 33, 2. hæð, 110 Reykjavík
Helgafell fasteignasala ehf.

Helgafell fasteignasala ehf.

Stórhöfði 33, 2. hæð, 110 Reykjavík
img

Linda Björk Ingvadóttir

Stórhöfði 33, 2. hæð, 110 Reykjavík
Ár
Fasteignamat
Kaupverð
Stærð
Fermetraverð
19. jún. 2018
15.950.000 kr.
16.500.000 kr.
93.6 m²
176.282 kr.
Byggt á upplýsingum úr Þjóðskrá Íslands frá 2006-2026
Helgafell fasteignasala ehf.

Helgafell fasteignasala ehf.

Stórhöfði 33, 2. hæð, 110 Reykjavík

Linda Björk Ingvadóttir

Stórhöfði 33, 2. hæð, 110 Reykjavík