Upplýsingar
Byggt 2010
13,8 m²
1 herb.
Sérinngangur
Lýsing
Fasteignasalan Hvammur 466 1600
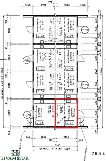
Ósvör 2 - 101, Góð verbúð í Sandgerðisbót á Akureyri með millilofti - Stærð 13,8 m²
Eignin skiptist í eitt opið rými á hæð auk geymslulofts. Grunnflötur er skráður 11,8 m² og geymsluloftið 2 m² en nýtanlegir fermetrar eru fleiri á loftinu (undir súð)
Epoxy efni er á gólfi grunnflatar. Þar eru hillur á veggjum og vinnuborð úr stáli með vaski. Innan eignar er góð lýsing og þar er ofn og opnanlegur gluggi. Fellistigi er upp á geymsluloft með hillum.
Annað
- Eignin er í suðurenda hússins
- Eignin er laus til afhendingar við kaupsamning.
Um skoðunar- og aðgæsluskyldu:
Í lögum um fasteignakaup nr. 40/2002 er kveðið á um ríka skoðunarskyldu kaupenda á fasteignum. Fasteignasalan Hvammur skorar því á væntanlega kaupendur að kynna sér vel ástand fasteigna fyrir kauptilboðsgerð og leita til þar til bærra sérfræðinga um nánari skoðun ef með þarf.
Forsendur söluyfirlits:
Söluyfirlit er samið af fasteignasala í samræmi við ákvæði laga nr. 70/2015. Þær upplýsingar sem fram koma í söluyfirliti þessu eru sóttar í opinberar skrár, til seljanda sjálfs og eftir atvikum til húsfélags. Seljandi veitir upplýsingar um eign í samræmi við upplýsingaskyldu laga um fasteignakaup nr. 40/2002. Fasteignasali sannreynir að þær upplýsingar séu réttar með sjónskoðun á eigninni. Fasteignasali getur ekki fullyrt um ástand og eiginleika þeirra hluta fasteigna sem ekki eru aðgengilegir og sjást ekki berum augum, t.d. lagnir, dren, skólp og þak.
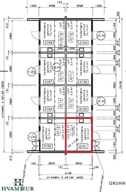
Ósvör 2 - 101, Góð verbúð í Sandgerðisbót á Akureyri með millilofti - Stærð 13,8 m²
Eignin skiptist í eitt opið rými á hæð auk geymslulofts. Grunnflötur er skráður 11,8 m² og geymsluloftið 2 m² en nýtanlegir fermetrar eru fleiri á loftinu (undir súð)
Epoxy efni er á gólfi grunnflatar. Þar eru hillur á veggjum og vinnuborð úr stáli með vaski. Innan eignar er góð lýsing og þar er ofn og opnanlegur gluggi. Fellistigi er upp á geymsluloft með hillum.
Annað
- Eignin er í suðurenda hússins
- Eignin er laus til afhendingar við kaupsamning.
Um skoðunar- og aðgæsluskyldu:
Í lögum um fasteignakaup nr. 40/2002 er kveðið á um ríka skoðunarskyldu kaupenda á fasteignum. Fasteignasalan Hvammur skorar því á væntanlega kaupendur að kynna sér vel ástand fasteigna fyrir kauptilboðsgerð og leita til þar til bærra sérfræðinga um nánari skoðun ef með þarf.
Forsendur söluyfirlits:
Söluyfirlit er samið af fasteignasala í samræmi við ákvæði laga nr. 70/2015. Þær upplýsingar sem fram koma í söluyfirliti þessu eru sóttar í opinberar skrár, til seljanda sjálfs og eftir atvikum til húsfélags. Seljandi veitir upplýsingar um eign í samræmi við upplýsingaskyldu laga um fasteignakaup nr. 40/2002. Fasteignasali sannreynir að þær upplýsingar séu réttar með sjónskoðun á eigninni. Fasteignasali getur ekki fullyrt um ástand og eiginleika þeirra hluta fasteigna sem ekki eru aðgengilegir og sjást ekki berum augum, t.d. lagnir, dren, skólp og þak.